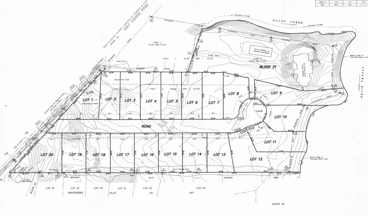
A planned subdivision on Golf Course Road in Laurentian Valley is growing before construction has even started. On May 3rd, 2022, the Township of Laurentian Valley held a public meeting to rezone the lands for the Kirklyn Estates Subdivision, located at 221 Golf Course Road, bordering the Ottawa River and Hales Creek.
The developer is looking to build 20 single detached residential lots on half acre lots and with a 4.2 acre block for the existing home. A zoning by-law amendment was previously approved for 12 lots in the subdivision. All of the lots would be serviced by individual private wells and septic systems and be roughly half an acre in size.
A number of changes were also proposed to waterfront lots for the subdivision. The revised subdivision layout removed the private water access to be replaced with right-of-ways for water access for the back lots. Mayor Steve Bennett asked if there would be public access to the waterfront and the Township Planner indicated only the back lots proposed for the subdivision would have access.
The report presented to council shows an environmental and revised environmental impact study have been undertaken due to the fact that the lands are located where Hales Creek meets the Ottawa River.
Council agreed to rezone the lands to allow for the additional eight units proposed for the Kirklyn Estates Subdivision. Laurentian Valley also set out conditions to remove the holding symbol on the lands which included entering into a subdivision agreement and making the developer responsible for installing roads, services, storm water management and adequate drainage.
(written by: Rudy Kadlec)
